Upgrade to Pro
— share decks privately, control downloads, hide ads and more …
Speaker Deck
Features
Speaker Deck
PRO
Sign in
Sign up for free
Search
Search
「北海道胆振東部地震における民間企業の取組み」 日本写真測量学会会員(株式会社シン技術コンサル...
Search
Sponsored
·
Your Podcast. Everywhere. Effortlessly.
Share. Educate. Inspire. Entertain. You do you. We'll handle the rest.
→
dhlab
March 25, 2019
Education
0
990
「北海道胆振東部地震における民間企業の取組み」 日本写真測量学会会員(株式会社シン技術コンサル)齋藤健一氏 /2019-03-25_emtiburi03
第2回 平成30年北海道胆振東部地震・地理空間情報活用懇談会
https://dghok.com/event/3412.html
dhlab
March 25, 2019
Tweet
Share
More Decks by dhlab
See All by dhlab
「北海道胆振東部地震に伴う斜面崩壊の把握と植生の関係」 株式会社地域環境計 浜田拓氏、阿部このみ氏 / 2019-03-25_emtiburi02
dh
0
1.4k
「北海道胆振東部地震による斜面崩壊の発生場」 北海道立総合研究機構地質調査所地域地質部地質防災グループ 研究主幹 石丸聡氏/2019-03-25_emtiburi02
dh
0
1.3k
「2018年9月6日北海道胆振東部地震に よるランドスライドの空中写真判読と GIS解析」 北海道総合地質学研究センター 理事 山岸宏光氏 /2019-03-25_emtiburi04
dh
0
1.2k
「産学官連携と建設業に おけるドローン活用について」藤原達也
dh
0
500
2018-11-06_03平成30年北海道胆振東部地震における当社の取り組み_株式会社シン技術コンサル_齋藤健一氏/2018-11-06_EMTiburi03
dh
0
94
平成30年北海道胆振東部地震における国⼟地理院の取組(公開用4up)_国⼟地理院北海道地⽅測量部_清水乙彦氏/2018-11-06_iburiEMT01
dh
0
44
2018-10-27_小樽マッピングパーティー02三好_発表用資料
dh
0
440
Other Decks in Education
See All in Education
2026 Medicare 101 Presentation
robinlee
PRO
0
220
Introduction - Lecture 1 - Advanced Topics in Big Data (4023256FNR)
signer
PRO
2
2.3k
Analysis and Validation - Lecture 4 - Information Visualisation (4019538FNR)
signer
PRO
0
2.6k
次期バージョン 14.5.1 Early Access Program が始まりました
harunakano
1
120
悩める リーダー達に 届けたい書籍|レジリエントマネジメント 書籍イントロダクション-260126
mimoza60
1
400
0121
cbtlibrary
0
150
Gitの中身 / 03-a-git-internals
kaityo256
PRO
0
150
滑空スポーツ講習会2025(実技講習)EMFT講習 実施要領/JSA EMFT 2025 procedure
jsaseminar
0
150
Introduction - Lecture 1 - Information Visualisation (4019538FNR)
signer
PRO
0
5.3k
東大1年生にJulia教えてみた
matsui_528
7
12k
From Participation to Outcomes
territorium
PRO
0
340
TinyGoをWebブラウザで動かすための方法+アルファ_20260201
masakiokuda
2
300
Featured
See All Featured
Optimizing for Happiness
mojombo
378
71k
ピンチをチャンスに:未来をつくるプロダクトロードマップ #pmconf2020
aki_iinuma
128
55k
Efficient Content Optimization with Google Search Console & Apps Script
katarinadahlin
PRO
1
430
Max Prin - Stacking Signals: How International SEO Comes Together (And Falls Apart)
techseoconnect
PRO
0
130
The Myth of the Modular Monolith - Day 2 Keynote - Rails World 2024
eileencodes
26
3.4k
Creating an realtime collaboration tool: Agile Flush - .NET Oxford
marcduiker
35
2.4k
Scaling GitHub
holman
464
140k
Future Trends and Review - Lecture 12 - Web Technologies (1019888BNR)
signer
PRO
0
3.3k
Paper Plane (Part 1)
katiecoart
PRO
0
5.8k
The Impact of AI in SEO - AI Overviews June 2024 Edition
aleyda
5
770
The State of eCommerce SEO: How to Win in Today's Products SERPs - #SEOweek
aleyda
2
10k
Deep Space Network (abreviated)
tonyrice
0
96
Transcript
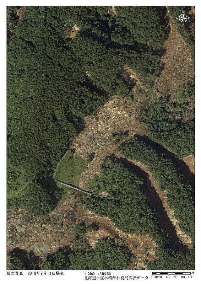
µ 0 20 40 60 80 100 10 m 1
: 2 5 0 0 (A 4 印刷) 航空写真 2 0 1 8 年9 月1 1 日撮影 北海道水産林務部林務局撮影データ
µ 0 20 40 60 80 100 10 m 1
: 2 5 0 0 (A 4 印刷) 通常レーザ成果品 段彩陰影図 北海道水産林務部林務局計測データ
µ 0 20 40 60 80 100 10 m 1
: 2 5 0 0 (A 4 印刷) 地貌図(ちぼうず) 北海道水産林務部林務局計測データ